Verkocht onder voorbehoud

Nachtegaal 15

8103 CJ Raalte

€ 359.000,- k.k.

106 m2

154 m2

3

A+

Moderne eengezinswoning in kindvriendelijke wijk, gelegen op een mooie groene plek aan het Overijssels Kanaal!

In een rustige en kindvriendelijke woonwijk staat deze nette eengezinswoning uit 1994, gelegen op een perceel van 154 m². De woning heeft een vrijstaande stenen berging en is ideaal gelegen: op loopafstand van scholen, het winkelcentrum van Raalte Noord en op nog geen 10 minuten fietsen van het gezellige centrum van Raalte.

Wat deze woning uniek maakt, is het energielabel. A+! Vanwege de goede isolatie, 12 zonnepanelen en de thuisbatterij is deze woning helemaal toekomst-proof!

De zonnige achtertuin is onderhoudsvriendelijk aangelegd, gelegen op het zuidwesten en voorzien van een achterom – ideaal voor lange zomeravonden. De woning is keurig onderhouden. Er is een sfeervolle waterdamphaard, de kamers zijn ruim en licht en juist daardoor heeft deze woning zo’n fijne sfeer.

Indeling:

Begane grond:
Entree met hal, toilet en meterkast. Tuingerichte woonkamer met airco (2025), laminaatvloer, vaste trapkast en veel lichtinval. Een modern tv-meubel met waterdamphaard maakt de kamer helemaal af. Aan de voorzijde bevindt zich de open keuken met diverse inbouwapparatuur. De keuken is recent gemoderniseerd. Via de bijkeuken, met aansluitingen voor wasmachine en droger, is de achtertuin bereikbaar. Hier vinden we ook de thuisbatterij en de omvormer van de zonnepanelen.

Eerste verdieping:
Overloop met airco en toegang tot drie ruime slaapkamers. De badkamer is voorzien van een ligbad/douche, tweede toilet en een (nieuw) wastafelmeubel. Daarnaast is er een aparte waskamer, waar ook een wasmachine aansluiting zit en waar tevens de C.V. ketel hangt. Ideaal zo’n extra kamer!

Bijzonderheden:
– Onder architectuur gebouwd en volledig geïsoleerd.
– Voorzien van energielabel A+!
– Zonnepanelen, thuisbatterij en airco’s (2025).
– Zonnige tuin op het zuidwesten.
– Gelegen in een fijne, groene buurt.

Ben je op zoek naar een woning met potentie in een fijne buurt? Dan is dit huis zeker een bezichtiging waard!

Deze woning heeft een eigen woningwebsite; nachtegaal15raalte.nl

Overdracht

Aanvaarding
In overleg
Vraagprijs
€ 359.000,- k.k.
Vraagprijs per m²
€ 3.387 per m²
Status
Verkocht onder voorbehoud

Bouw

Bouwvorm
Bestaande bouw
Bouwjaar
1994
Dak type
Plat dak
DakMaterialen
Soort woonhuis
Eengezinswoning, Tussenwoning

Oppervlakten en inhoud

Woonoppervlakte
106 m2
Buitenruimtes gebouwgebonden of vrijstaand
1 m2
Oppervlakte externe bergruimte
6 m2
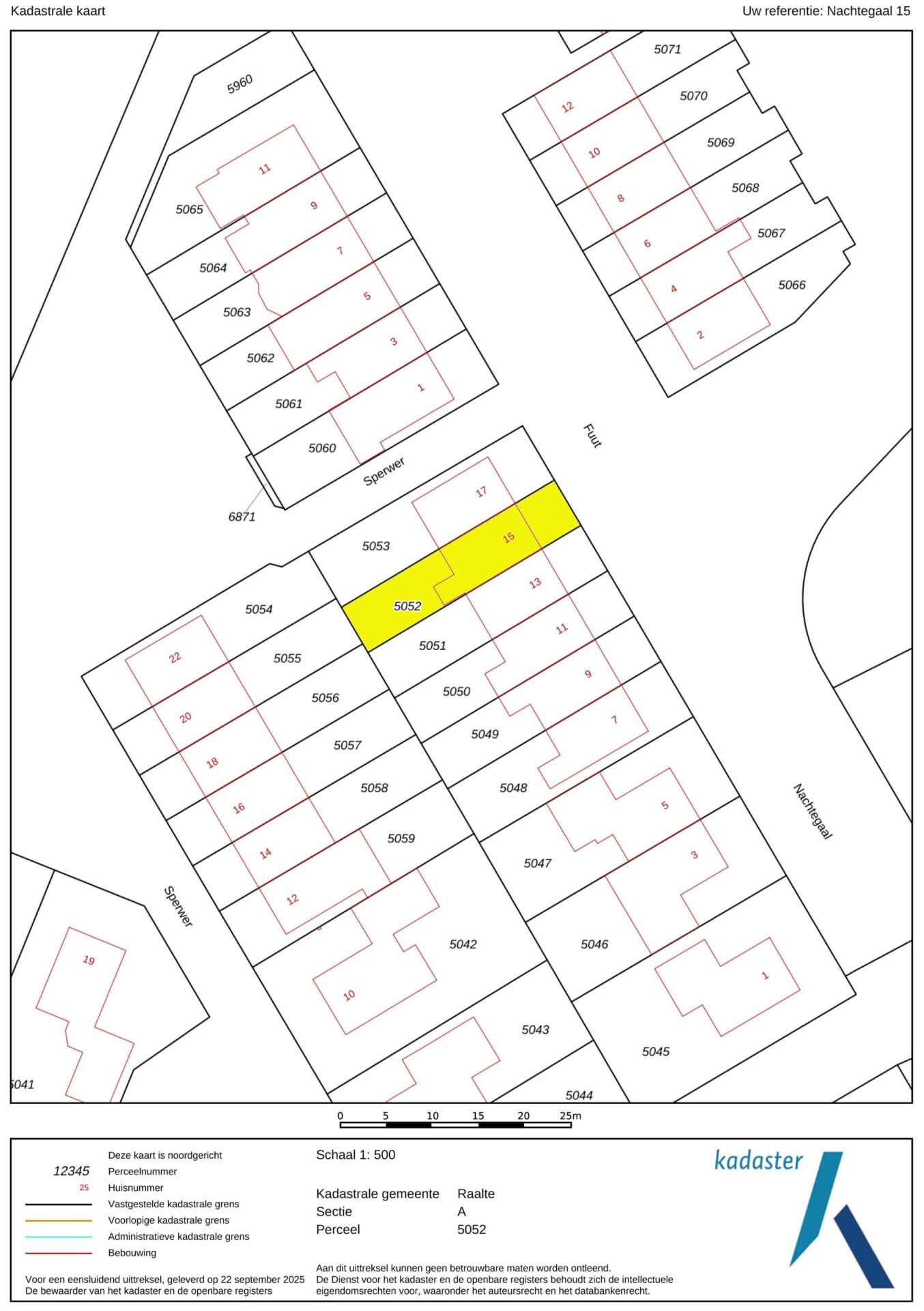
Perceel oppervlakte
154 m2
Inhoud
345 m3

Indeling

Aantal kamers
4 ( 3 slaapkamers)
Aantal badkamers
1
Voorzieningen
Mechanische ventilatie, Airconditioning, Glasvezel kabel, Zonnepanelen

Energie

Energieklasse
A+
Isolatievormen
Dakisolatie, Muurisolatie, Vloerisolatie, Dubbelglas, Volledig geïsoleerd
Soorten verwarming
CV ketel, Open haard

Buitenruimte

Liggingen
In woonwijk
Tuintypen
Achtertuin, Voortuin
Oppervlakte
66 m2
Lengte
1.100 m
Breedte
600 m
Positie
Zuidwest

Bergruimte

Soort
Vrijstaand steen
Voorzieningen

Garage

Soorten
Geen garage

Parkeergelegenheid

Parkeer faciliteiten
Openbaar parkeren

Geïnteresseerd in deze woning?

Neem vrijblijvend contact met ons op

Plattegrond

Video

Speel video

360°

Kadastraal

Locatie

Geïnteresseerd in deze woning?

Neem vrijblijvend contact met ons op

0572-351291

info@hannink.nl